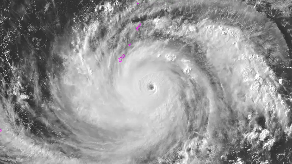
El supertifón Mawar se fortaleció el viernes mientras se desplazaba hacia el oeste sobre el Pacífico en dirección a Filipinas, días después de causar daños por el viento y la lluvia en Guam. El centro de la tormenta se encontraba a unos 1.450 kilómetros al este de Luzon, la isla más grande y poblada del país, y tenía vientos sostenidos máximos de 300 kilómetros por hora. Se espera que el supertifón traiga fuertes lluvias, inundaciones, deslizamientos de tierra y vientos huracanados al norte de Luzon a partir del domingo o el lunes.
Una amenaza para el norte de Luzon
Según el servicio meteorológico del país, el supertifón podría aumentar también las lluvias monzónicas en otras partes del país. Debido a que Filipinas da sus propios nombres a los tifones que entran en su llamada área de responsabilidad, una gran zona del Pacífico Noroccidental, la tormenta se conocerá localmente como Betty.

Es probable que el supertifón se mantenga al norte de Filipinas, pero algunos modelos de pronóstico muestran que podría afectar a la parte norte de Luzon.
"Una vez que la tormenta se acerque a Filipinas, podrían producirse fuertes lluvias, inundaciones, deslizamientos de tierra y vientos con fuerza de vendaval en el norte de Luzon desde finales del domingo o el lunes", dijo el servicio meteorológico.
Una trayectoria incierta para el resto de Asia
Después del fin de semana, algunos modelos de pronóstico proyectan que Mawar girará hacia el norte y luego rápidamente hacia el noreste. Tal trayectoria podría evitar que la tormenta afectara a Taiwán, China o Corea del Sur. Dependiendo del momento de otros sistemas meteorológicos en la zona, la tormenta podría desplazarse más hacia el oeste, acercándose a Taiwán, o hacia el noroeste, hacia Japón.

Esos acontecimientos no se producirían hasta finales de la próxima semana y el siguiente fin de semana, y mucho podría cambiar en la atmósfera en ese lapso de tiempo. A medida que la tormenta se mueva hacia el norte, hacia o lejos de Japón, se espera que se debilite al encontrarse con aguas más frías.
El supertifón Mawar es el más poderoso del año hasta ahora y uno de los más intensos jamás registrados. Según el Centro Conjunto de Advertencia de Tifones, la tormenta alcanzó una presión mínima central estimada de 898 hectopascales (hPa) el viernes por la noche. Eso es comparable a algunos de los tifones más fuertes que han azotado Asia en las últimas décadas, como Haiyan (2013), Meranti (2016) y Goni (2020).
El supertifón Mawar es también una amenaza para Guam, donde ya causó daños por el viento y la lluvia cuando pasó cerca como una tormenta tropical. Según el Servicio Meteorológico Nacional en Guam, la isla podría experimentar marejadas ciclónicas peligrosas y corrientes marinas durante los próximos días debido al paso del supertifón.

Los residentes de Filipinas y otras zonas potencialmente afectadas por el supertifón Mawar deben estar atentos a las actualizaciones meteorológicas y seguir las instrucciones de las autoridades locales para prepararse ante posibles emergencias.